1. Home
  2. Search Listings
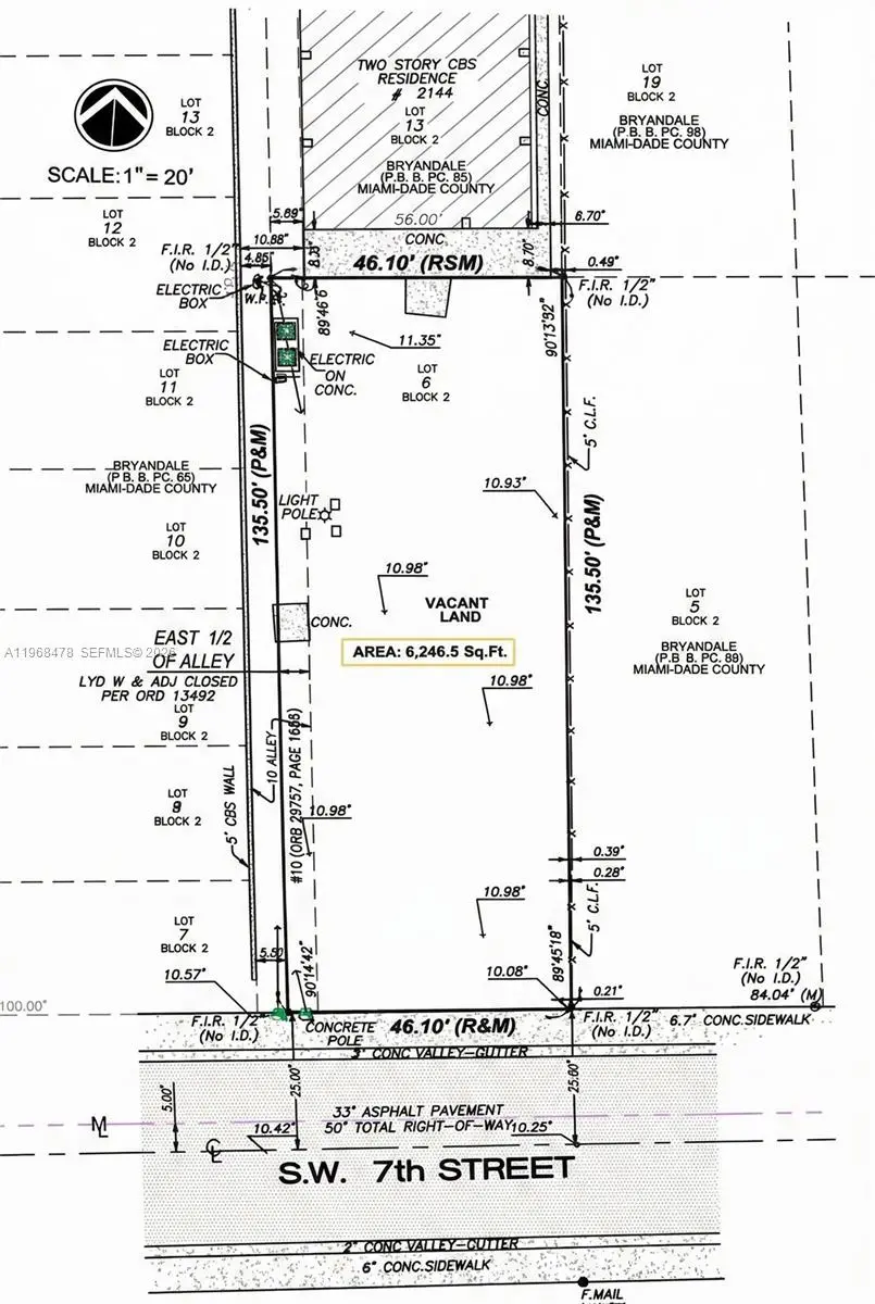
  3. 1081 Sw 7th Miami, FL - 33135
  • MLS® #: A11968478
  • 1081 Sw 7th
  • Miami, FL 33135
  • $700,000
  • 0.14 Acres
  • Land

Opportunity to acquire a 6,244 SF multifamily development site in the heart of Little Havana, just steps from iconic Calle Ocho. Zoned T-4, the property allows up to three stories and a maximum of five residential units. This infill site offers developers a strategic position within a strong rental submarket, benefiting from continued westward expansion from the Brickell corridor.

View Virtual Tour

Essential Information

  • MLS® #A11968478
  • Price$700,000
  • CAD Dollar$958,286
  • UK Pound£525,306
  • Euro€603,773
  • Bathrooms0.00
  • Acres0.14
  • TypeLand
  • Sub-TypeOther
  • StatusActive

Community Information

  • Address1081 Sw 7th
  • Area41
  • SubdivisionBRYANDALE
  • CityMiami
  • CountyMiami-Dade
  • StateFL
  • Zip Code33135
  • Office: Apex Capital Realty Llc
Please provide a valid email address.

1081 Sw 7th on www.w.jupiteroceanfrontcondos.us

Offered at the current list price of $700,000, this home for sale at 1081 Sw 7th features bedrooms and 0 bathrooms. This real estate listing is located in BRYANDALE of Miami, FL 33135 . 1081 Sw 7th is listed under the MLS ID of A11968478 and has been on the Miami real estate market for 9 days.

Facts About Miami, FL

Each winter during Carnaval Miami, salsa tunes blare and the smell of spicy chorizo fills the air on Calle Ocho, the commercial thoroughfare and heart of Miami's Little Havana. The roaring street festival, which culminates in the world's longest conga line, is the last of 10 events comprising the Latin-spiked Carnaval.

Similar Listings to 1081 Sw 7th

Photo of Listing #A11873880
  • MLS® #: A11873880
  • 1001 Sw 15th Ave
  • Miami, FL 33135-5233
  • $750,000
  • 0.17 Acres
  • Land
Add as Favorite
Photo of Listing #A11566983
  • MLS® #: A11566983
  • 620 Nw 11th Ave
  • Miami, FL 33136-3716
  • $609,360
  • 0.12 Acres
  • Land
Add as Favorite
Photo of Listing #A11894943
  • MLS® #: A11894943
  • 172 Ave Sw 38-39 St
  • Miami, FL 33185
  • $750,000
  • 10 Acres
  • Land
Add as Favorite
Photo of Listing #A11907094
  • MLS® #: A11907094
  • 2528 Nw 24th St
  • Miami, FL 33142-7212
  • $699,900
  • 0.16 Acres
  • Land
Add as Favorite

The data relating to real estate on this web site comes in part from the Internet Data Exchange program of the MLS of the REALTOR® Association of Greater Miami and the Beaches, and is updated as of March 4th, 2026 at 1:52pm CST (date/time).

All information is deemed reliable but not guaranteed by the MLS and should be independently verified. All properties are subject to prior sale, change, or withdrawal. Neither listing broker(s) nor Waterfront Properties and Club Communities shall be responsible for any typographical errors, misinformation, or misprints, and shall be held totally harmless from any damages arising from reliance upon these data. © 2026 MLS of RAMB.

The information being provided is for consumers' personal, non-commercial use and may not be used for any purpose other than to identify prospective properties consumers may be interested in purchasing